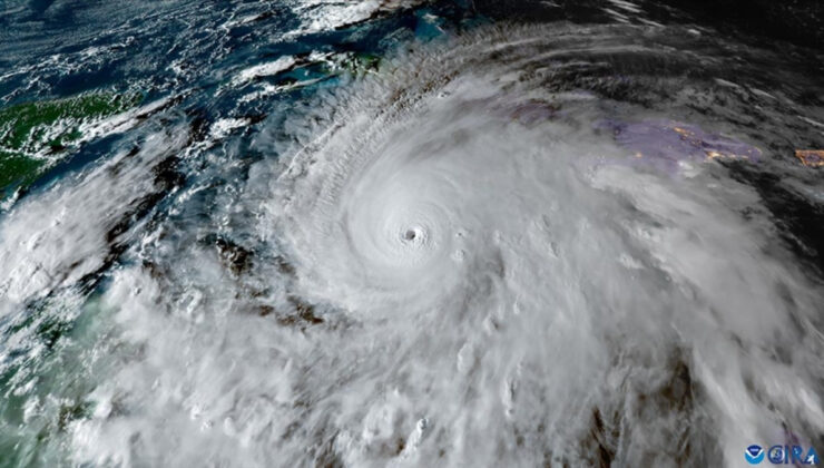
Ulusal basında yer alan habere göre, ekim ayının sonundan bu yana Haiti, Jamaika ve Küba’da etkili olan Melissa Kasırgası, bölgede can ve mal kayıplarına yol açtı.
KASIRGA BÜYÜK YIKIMA YOL AÇTI
Haiti Sivil Savunma Müdürlüğü, ülke genelinde meydana gelen kasırgada 43 kişinin hayatını kaybettiğini, 7 kişinin ise kayıp olduğunu açıkladı.
Açıklamada, 11 bin 952 evin sular altında kaldığı, 176 evin tamamen yıkıldığı ve 4 bin 257 evin çeşitli düzeylerde hasar gördüğü bildirildi.
Jamaika Başbakanı Andrew Holness, basın mensuplarına yaptığı açıklamada, felakette şu ana kadar 32 kişinin yaşamını yitirdiğini ve maddi zararın 6 ile 7 milyar dolar arasında olduğunu belirtti.

“GÖRÜLMEMİŞ BİR FELAKET YAŞIYORUZ”
Halen bulunamayan cesetler olabileceğini söyleyen Holness, şu ifadeleri kullandı:
“Bu yalnızca bir insani kriz değil, aynı zamanda geçim kaynaklarına, gelir düzeylerine ve yerel ekonomilere ağır bir darbedir. Görülmemiş bir felaket yaşıyoruz. Ülkenin kalbi sayılan Saint Elizabeth, Westmoreland, Saint James, Trelawny ve Saint Ann gibi turistik şehirler büyük darbe aldı.”
Küba’da ise Melissa Kasırgası nedeniyle ölü sayısı henüz açıklanmadı, ancak Birleşmiş Milletler (BM) tahminlerine göre ülkenin Granma, Santiago de Cuba, Holguin ve Guantanamo eyaletlerinde yaklaşık 2,2 milyon kişi kasırgadan etkilendi.
BM’ye göre, Küba’da yaklaşık 60 bin konutta farklı düzeylerde hasar meydana geldi ve 461 sağlık merkezi ile 1552 okulda hasar kaydedildi.

1
Ankara’da lityum fabrikasında sızıntı
4221 kez okundu
2
Depremzede Leyla Altun, Yeni Evinde Erdoğan ve Aliyev’i Ağırladı
3152 kez okundu
3
Almanya’da yolcu treni raydan çıktı: 3 ölü
1909 kez okundu
4
ABD’de Buz Hokeyi Maçında Katliam: Lise Müsabakasında Silah Sesleri Yükseldi
1572 kez okundu
5
Alex Honnold’dan Nefes Kesen Tırmanış! 508 Metrelik Gökdelene İpsiz Ulaştı
1427 kez okundu
Veri politikasındaki amaçlarla sınırlı ve mevzuata uygun şekilde çerez konumlandırmaktayız. Detaylar için veri politikamızı inceleyebilirsiniz.